![]()

釣果![]() 2006年 4月30日 大潮 |
今日は湯島沖へ、のぼり鯛釣りに行きました。 朝4時ちょい前に出船〜 前日は、のぼり鯛の食いが良かったとの情報を 聞き胸ワクワクときめかせて出船した訳だったが 今日の食いは いまいち・・・ 朝まずめにタイ、チヌと上がったのだが あとが続かない・・・ マダイ・・・2,9kg{59cm}頭に 2匹 チヌ・・・2,0kg{48cm}・1,2kg{42cm} 2匹 アラカブ・・・10匹{一部クーラーの中} |
加藤様![]() 2006年 4月30日 |
石田様![]() 2006年 4月30日 |
早く着きすぎた・・・![]() 2006年 4月30日 |
![]() 2006年 4月30日 のぼり鯛 2,9kg 59cm |
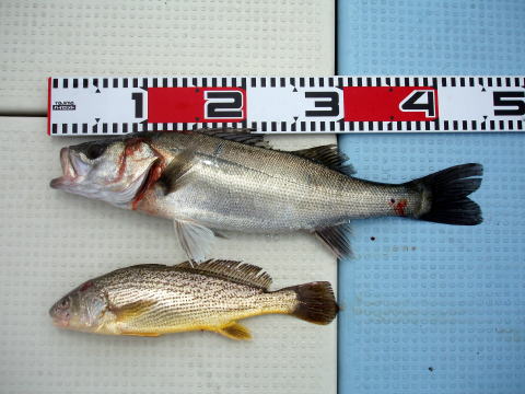
釣果![]() 2006年 4月29日 大潮 |
今日は定時の6時出船でした。 今日の大潮ちとおかしいです。 潮流れ非常に悪かったです・・・ 一日差で この釣果の差・・・ スズキこれだけです。 スズキ・・・2,1kg{63cm} スズキ・・・2,0kg{60cm} 金グチ・・・1匹 |
黒木様![]() 2006年 4月29日 |
シブイ釣果の中よく釣り上げて 下さいました。 何回かバラシあったみたいですけど なかなか大物は簡単には上がりませんね・・ |
釣果![]() 2006年 4月28日 大潮 |
今日も出船時間を早めて出ました! 今日のお客様は新町様、小林様、吉田様の 仲良し3人組です^0^ やはり今回もバラシ多かったです。 大型は なかなか上がってくれません・・・ 風もなく穏やかな波の上で、の〜んびりと 釣りを堪能しました。 スズキ・・・3,0kg{69cm}頭に7匹 金グチ・・・2匹 |
吉田様![]() 2006年 4月28日 |
吉田様![]() 2006年 4月28日 こんなの釣れたよ〜〜 |
尾林様![]() 2006年 4月28日 |
新町様![]() 2006年 4月28日 |
まわりにも段々船が集まってきたばい・・・![]() 2006年 4月28日 |
真剣な表情で前アタリを待ってます・・・![]() 2006年 4月28日 |
釣果![]() 2006年 4月23日 若潮 |
今日は朝からアクシデントがありました! 貸切担当のお客様が出船する寸前に エサを家に忘れた〜〜との事。 全員のエサを受け持ってた為に 朝から大慌て・・・ コンビニを探したり その他色々・・・ やっと一匹のサバを 確保して{これじゃ足りない・・・} ワームがあるからと出船を遅らせての 出発となりました。 後半はワームだけの 釣りとなりましたが、釣果はなんとか・・・? ワームと魚の切り身ではやはり 釣果に差が出てしまうばい! アラカブ・・・117匹 {24cm頭} |
古賀様![]() 2006年 4月23日 |
今日の一番 24cm![]() 2006年 4月23日 |
![]() 2006年 4月23日 今日のお客様です。1人船酔いでダウン・・・ |
玉田様![]() 2006年 4月23日 |
釣果![]() 2006年 4月22日 長潮 |
今日は一時間早めに出船しました。 予報では昼から雨との事だったが 朝から帰るまで雨ばかりでした。 皆さん今日は初めてのお客様です。 普段は玄界灘での釣りが主だそうだが 有明海の穏やかな海は なかなか よかばい!とのお言葉でした。 次回は大型ヒラメを狙いに来られる そうです。 又のご乗船 お待ちしております。 アラカブ・・・196匹 {25cm頭} サンマの切り身は良型が・・・ |
林様![]() 2006年 4月22日 |
今日の一番 25cm![]() 2006年 4月22日 |
力丸様![]() 2006年 4月22日 |
三砂様![]() 2006年 4月22日 |
| 2006年 4月21日 | 出船中止となりました。 |
釣果![]() 2006年 4月16日 中潮 |
毎度の事ながら 今日も朝まずめに分がありました!! 今日の潮の澄み具合を判断して 集中してあるポイントを狙ってみたら 見事に的中でした。 後半はスズキの 活性が悪くなり釣果は伸びませんでした。 やはり、朝まずめが活性高いです!! スズキ・・・2,9kg〜3,5kg 5匹 ハクラ・・・1匹 グチ・・・3匹 |
加藤様![]() 2006年 4月16日 スズキ2,9kg・3,0kg |
毎度のご乗船ありがとうございます。 今年初のスズキ釣りいかがでしたか? 何回かバラシもあったみたいですが スズキ釣りはバラシ数回の内に 何本釣り上げるかが勝負です! 小型は簡単にあがりますが 大型は、そう簡単にはいきませんね〜 来月また待ってますので、ご乗船 お待ちしております。 今日はお疲れ様でした。 |
山本様![]() 2006年 4月16日 スズキ2,9kg・3,0kg |
今日はスズキ釣り初チャレンジとの事で 見事大型スズキGET!! 本当に初めてなのかと思うほど見事な 竿さばきでしたよ。 スズキも シーズンインしたばかり、これから ますます釣果は安定してきますから 又遊びに来て下さい。 今日はお疲れ様でした。 |
川井様![]() 2006年 4月16日 スズキ3,5kg |
HP観覧からの初めてのお客様です。 有明海も初めて、スズキ釣りも初めて との事でしたが、なかなかたいしたもん でしたよ! 最初は根掛かりで苦労 されてましたが棚があった瞬間に 3,5kgのスズキGET!! 次回は5kgオーバーのスズキを チャレンジして下さいね〜。 今日はお疲れ様でした。 |
加藤様![]() 2006年 4月16日 船中一発目ヒット! |
![]() 2006年 4月16日 |
![]() 2006年 4月16日 一番乗り〜! |
![]() 2006年 4月16日 スズキ釣り風景です。 |
| 2006年 4月15日 | 今日も出船中止となりました。 |
| 2006年 4月14日 | 朝から北東の風12m! 残念ながら出船中止となりました。 |
釣果![]() 2006年 4月12日 大潮 |
今日は潮は良し!風は無し! エビは元気! 何で〜?? タモに入れた魚これだけです。 相変わらずバラシばかりです。 スズキをHITさせても結び目が 緩んでバラシたり、 食い込んで合わせた瞬間スッポ抜け たり、海面まで上げてエラアライで バレたり、イカの攻撃にあったり・・・ 今日は残念な一日となりました。 ハクラ・・・1匹{45cm} グチ・・・1匹{30cm} |
![]() 2006年 4月12日 |
今日のスズキは何でエビを 活発に食ってくんないの・・・?? こんなに良い瀬があるのに。 |
![]() 2006年 4月12日 |
朝5:30に港を出航〜! 今日もポイント着、一番乗りです。 この時間は釣り人が一番 胸ときめく瞬間ですね〜 が、しかし・・・ |
![]() 2006年 4月9日 |
帰りは皆さんお疲れモード・・・ 港に帰るまで爆睡!! 今日はメバルは全然釣れません。 何でかわからないです。どこの ポイント行ってもアタリすらない状態。 時間は過ぎるばかり・・・ 沖あがりまで時間がない・・・船長、しびれを きらしてアラカブ釣りに変更しました。 潮とまり前にアラカブだけに的を絞って の短時間の釣りとなりました。 {船中} アラカブ・・・105匹{25cm頭} コウイカ・・・2匹{デカイ!} 皆さん、クーラーに入れられたので 全体の写真はないです。 代表で3人のクーラーの中身を 写させてもらいました。 |
釣果![]() 2006年 4月9日 |
釣果![]() 2006年 4月9日 |
中原君![]() 2006年 4月9日 |
釣果![]() 2006年 4月9日 |
釣果 若潮![]() 2006年 4月8日 デカメバル・ヒラメ・アラカブ |
釣果 若潮 2006年 4月8日 中メバル・アラカブ・アイナメ |
![]() 2006年 4月8日 今日のお客様{2人}石田様・松尾様 |
![]() 2006年 4月8日 今日も釣れた仕掛けはカブラです! |
釣果![]() 2006年 4月1日 中潮 |
今日は朝の出船前のいきなりの 3名のキャンセル!! 船長ちと、つらいです・・・ 前回に続き、今日も朝まずめに 釣果が出ました。 相変わらずバラシ多いです・・・ でも、スズキ釣り始まったばかり。 ひと潮毎に安定する見込み!! ・福島様・・・スズキ4,2kg、2,1k {78cm} ・有村様・・・スズキ1,6kg ・今村様・・・残念ながらグチのみでした。 {次回リベンジして下さいね〜} |
福島様![]() 2006年 4月1日 4,1kg・2,1kg |
![]() 朝まずめでGETした4,2kg{78cm}のスズキおめでとう〜 ついでに2,1kgのスズキも・・・ |
![]() 2006年 4月1日 |
ポイント着、1番乗り〜 有明海は満潮と干潮の差が とてもひどい。 そのてん三池港は 潮に関係なく、いつでも出船出来る から時合いを逃さない!! シケてもいつでも港に帰れる〜。 又、今日も1番乗りだ〜 まだ誰も来ていない・・・ そしてベタ凪・・・ 気合が入るばい!!! 今日も頑張るぞ〜〜〜 |