![]()

| 2006年6月30日 | 出船中止しました。 |
釣果![]() 2006年6月25日 大潮 |
前日の夜のキャンセル船長ちとキツイです・・・ 今日出船時は雨は降ってなかったが 後には雨が降ったり止んだりの一日でした。 朝一発目に大ヒラメ狙いましたが今日は さっぱり・・・ おまけに昨日からの雨で海面 はゴミだらけ! ゴミが邪魔してピンポイント で仕掛けを投入できない状態。 糸がゴミの山に引っ掛かってアタリが 取りにくい状態だった。 上げてみると ヒラメの歯型がギッシリ・・・皆さんアタリを 取るのに苦労されてたみたい。 結果これだけでした。 中盤から風も強くなり のちに雨、風強くなったので今日は 早上がりしました。皆さん雨の中お疲れ様でした。 ヒラメ・・・2,1kg{57cm}頭に 5匹 その他・・・アラカブ、イカ{クーラーの中} |
有村様![]() 2006年6月25日 2匹目ヒット!! |
有村様![]() 2006年6月25日 2,1kg 57cm |
釣果![]() 2006年6月24日 大潮 |
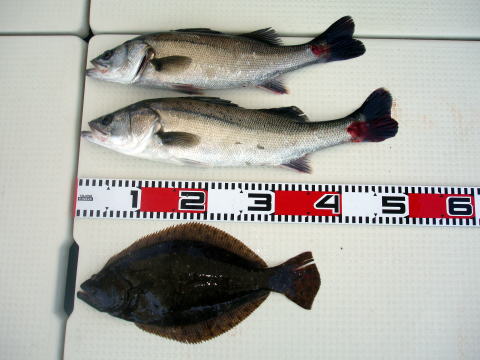
今日は朝から雨〜後には雨も上がり晴天ベタ凪でした。 出船前になってもあるお客様こない・・・電話したら まだ布団の中・・・昨夜飲みすぎだったかな・・・ 本日のヒラメちゃん普段に比べてアタリ凄く少なかったです。 あがったのはこれだけでした〜 寂しいですばい。 今日の残念賞は加藤さんのラインブレイク!! 大ヒラメをヒットさせたのだが半分上げた所でブチッ! 船長タモ持って構えてたんですけど残念です。 上がってたら船上は盛り上がってたんですけど^0^ ヒラメ・・・40cm頭に 4匹 ハクラ・・・52cm頭に 2匹 イカ・・・{クーラーの中} |
石田様![]() 2006年6月24日 |
松山様![]() 2006年6月24日 |
松尾君![]() 2006年6月24日 |
加藤様![]() 2006年6月24日 |
釣果![]() 2006年6月20日 長潮 |
今日も平日出船でした。 {平日は3名様揃いましたら出船します} 本日、長潮なり〜 下げ潮は食い悪かったな・・・ 今日は満ち潮で勝負かける予定だったので 深場の潮が動くポイントに移動した。 今日はここで一発かけてみるか・・・? なんと見事に的中〜 今日はお客様達の笑顔を 見る事が出来ました^0^ 良かった〜〜 大ヒラメ上がった瞬間は皆さん大騒ぎ!! 拍手喝采でしたばい。 見事大ヒラメ釣り上げた お客様は、なんとヒラメ釣り初挑戦だった。 今晩はみんな集まって大宴会するそうです^0^ おめでとうございました。 ヒラメ・・・6,1kg{80cm}頭に4匹 アイナメ・・・1匹 |
寺崎様![]() 2006年6月20日 6,1kg 80cm |
![]() 2006年6月20日 すくった瞬間タモが破れたばい。慌てて小さいタモ使ってしまった |
豊長様![]() 2006年6月20日 |
小柳様![]() 2006年6月20日 |
![]() 2006年6月20日 まるでプールみたい・・・ |
![]() 2006年6月20日 この静けさの後、強烈な引き込みが・・・ |
釣果![]() 2006年6月19日 小潮 |
今日は平日出船での少人数での 出船となりました。 片山様、加藤様の2名で出船! あとお1人は夜予約の朝キャンセル です・・・ 今日は潮まったく動きません! アタリも少なかったです。困ったもんです。 まだイカおるばい! {船中} ハクラ・・・2匹{48cm、43cm} 小さいヒラメ・・・1匹{37cm} アラカブ・・・良型1匹 イカ・・・3匹 フグ・・・3匹 |
加藤様![]() 2006年6月19日 |
タナ取とりと活きエサの泳がせ方に 苦労されてたみたいですね〜 今日釣ったイカも酒の肴にして 下さいね^0^ 水温がもっと 上がったらヒラメの食いがたつので 来月又リベンジして下さいね。 今日はお疲れ様でした。 |
釣果![]() 2006年6月18日 小潮 |
今日は三砂様御一行のキス釣りでした。 今日は昨日と違って食い渋りの一日でした。 高級外道も今日は食いません・・・ アタリが少ないのです・・・ なんで?? せっかく遠方から来て下さったのにすいません。 前回のアラカブ入れ食い状態みたいには いかなかったですね。 勇士君と武士の 一生懸命に釣る姿、凄く可愛かったですよ^0^ 又のご乗船お待ちしております。 キス・・・船中90〜100匹 アラカブ・・・1匹 グチ・・・40匹位 マダコ・・・1匹 フグ・・・10匹位 トラギス・・・いっぱい |
二宮様![]() 2006年6月18日 |
島津様![]() 2006年6月18日 |
三砂勇士君![]() 2006年6月18日 |
三砂武士君![]() 2006年6月18日 |
釣果![]() 2006年6月17日 小潮 |
![]() ![]() ![]() 今日は関口様主催のキス釣り大会でした。 朝からあいにくの雨模様でしたが尚人丸は 前後に大型テント装備なので安心です。 今年のキスは遅れ気味で広範囲にいるのではなく メバルみたいにピンポイントにかたまってるので ポイントを定めるのに苦労しました。 瀬まわりを集中的に攻めたので、色んな魚を釣る事が 出来ました〜 ^0^ 皆さんクーラーの中に魚入れられた ので全体の写真ないです。 キス・・・船中160匹〜180匹 {20〜28cm} マハタ・・・1匹 ヒラメ・・・2匹 メバル・・・1匹 マダコ・・・1匹 グチ・・・70〜80匹 トラギス・・・30〜40匹 |
浜田様![]() 2006年6月17日 |
河野君![]() 2006年6月17日 |
山本君![]() 2006年6月17日 |
河野様![]() 2006年6月17日 |
関口様![]() 2006年6月17日 |
杉本様![]() 2006年6月17日 |
| 2006年6月15日 | 雷、強風、波浪注意報! 朝から気持ちいい風ふいてます・・・ 当然、出船中止です。 前日までは穏やかな海でしたが・・・残念です。 |
釣果![]() 2006年6月11日 大潮 |
前日キャンセル、出船直前キャンセルと 船長ちとキツイです・・・ キャンセルは3日前までにお願いします。 キャンセル待ちのお客様も おられるのです・・・ 船長のお願いです。 キャンセル料とか取りませんので。 今日のヒラメこれだけです・・・ 皆さん全員にヒラメのアタリは あるのだが全然食い込まない。 ゴツンゴツンとアタリがあるのに どんなに待っても食い込まない。 活性悪かったです。このヒラメも 相当粘ってから針掛かりしました。 珍しくスズキも釣れません・・・ 今日の潮なんか変・・・ イカにも相当エサやられたな〜 ヒラメ・・・1,6kg 53cm その多・・・イカ、マダコ {クーラーの中} |
![]() 2006年6月11日 予報では波高1m!カミナリ注意報! ・・・??? 天気予報はウソばっかりやん! ベタ凪やん! |
有村様![]() 2006年6月11日 |
釣果![]() 2006年6月10日 大潮 |
今日は朝からベタ凪〜気持ちがいい 出船となりました。 一ヶ月ぶりに 土曜日に海に出れました〜嬉しい! 今日はスズキ、ヒラメ両方狙いで 出船しました。 前半はバラシばかりで なかなか上がってきませんでした。 後半は下げ潮になって食いがたち ごらんの釣果! 小郡の宮川様が 大ヒラメを釣られて船上は大賑わい でした^0^ 帰って大宴会だそうです。 刺身にしたら何十人分と取れそう・・・ しかし、竿がのされて中々上がって きませんでしたね。ハリス5号だったので 少しヒヤヒヤしましたが・・・ 上の3,5kgのスズキが小さく見えます。 ヒラメ・・・6,2kg{81cm}頭 2匹 スズキ・・・3,5kg{73cm}・3,1kg{71cm} ハクラ・・・2匹 その他・・・アコウ、メバル、アラカブ、グチ |
宮川様![]() 2006年6月10日 でかすぎて上がりません ハリス5号!慎重に・・・ |
![]() 2006年6月10日 |
宮川様![]() 2006年6月10日 ヒラメ 6,2kg 81cm |
小田原様![]() 2006年6月10日 3,5kg・3,1kg |
| 2006年6月9日 | 前日に強風警報、波1mだったので 出船中止しました。 が・・・朝になって みるとたいした風じゃない!朝判断に しとくと良かった・・・この位の風なら 出れた・・・ |
釣果![]() 2006年6月7日 中潮 |
今日は平日出船でした。 平日は不思議とベタ凪になる。 土曜日は何でか大シケ・・・ 前半キス釣りを少しやって お客様がイカ釣りもしてみたいとの 事でイカ釣りに変更しました。 今晩は大宴会かな〜 ^0^ 今日の魚 ↓ ・キス・メバル・カワハギ・フグ ・イカ・その他 数は数えてません。 |
釣果![]() 2006年6月7日 中潮 |
お客様の要望でイカ釣りもやって みました。 もうそろそろ終盤とは 思いますが。 こんなに釣っても 食べきらないですよ・・・ |
石原様![]() 2006年6月7日 |
加藤様![]() 2006年6月7日 |
平日は不思議とベタ凪・・・![]() 2006年6月7日 |
加藤様![]() 2006年6月7日 |
釣果![]() 2006年6月4日 小潮 |
昨日とは、うって変わって今日は穏やかな 一日でした。 しかし、コウイカが異常に 多すぎる! 入れた途端エサに乗ってくる これじゃ釣りにならない。 半分以上は エサを食いちぎって離してしまう始末。 ヒラメに食わせる前にイカの餌食・・・ 困ったもんだ〜相当の数が海底にいる のだろう〜 コウイカ専門で狙えば相当 の数が狙えそうだ。 次回からエサを 変えよう。 いつもの活きエサです・・・ ヒラメ・・・4匹 {41cm頭} メバル・・・3匹 {26cm頭} アラカブ・・・3匹 {29cm頭} アイナメ・・・1匹 コウイカ・・・数えてません。 |
![]() 2006年6月4日 |
![]() 2006年6月4日 |
片山様![]() 2006年6月4日 |
関口様![]() 2006年6月4日 |
加藤様![]() 2006年6月4日 |
山本君![]() 2006年6月4日 |
| 2006年6月3日 | 朝から北東の風10m! 出船中止しました。 残念・・・ |