![]()

釣果![]() 2006年 8月27日 中潮 |
今日は昨日に比べると型も数も良くなかった です。 ヒラメもアタリが少なかったですね・・・ 本日厳しい釣果となりました。 ヒラメ・・・40cm頭に3匹。 マゴチ・・・59cm、1,5kg 1匹。 ハクラ・・・{〜60cm}13匹。 セイゴ・・・{〜40cm}5匹。 |
![]() |
今日の唯一のキロオーバーは 59cm、1,5キロのマゴチだけです。 |
釣果![]() 2006年 8月26日 中潮 |
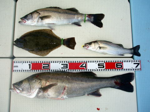
爆釣〜〜!! 今日は疲れました。船長これだけタモで すくいました。 操船しながらタモ入れで、 お茶を飲む暇もなかったです。 今日はバラシもかなりあり入れ食い状態!^0^ しかし本命のヒラメは5匹だけ。寂しいです・・・ でも皆さん凄く楽しんでくれて船長嬉しいです。 後半は皆さん言わく・・・ {これ以上釣ったらクーラー入らんばい!} {もう飽きた!} {船長もう満足したから帰ろ〜} とか、様々でした・・・ 今日は納得の早上がりです。 ヒラメ・・・55cm{1,5kg}頭に5匹。 スズキ・・・4,5kg{87cm}頭に6匹。 {60〜87cm} ハクラ・・・{40〜60cm}29匹。 セイゴ・・・{30〜40cm}14匹。 |
![]() 2006年 8月26日 |
![]() 2006年 8月26日 デカすぎて{87cm}クーラーの中に入りませ〜ん! |
下坂様![]() 2006年 8月26日 |
河原様![]() 2006年 8月26日 |
境様![]() 2006年 8月26日 |
室園様![]() 2006年 8月26日 |
山本様![]() 2006年 8月26日 87cm、4,5kg |
前山様![]() 2006年 8月26日 80cm、3,5kg |
釣果![]() 2006年 8月25日 大潮 |
一昨日に比べて今日はアタリが少なかった ですね〜 外道のスズキ、マゴチなども 見れませんでした。 今日も上げ潮良くなかった ばい。 まだまだ毎日暑いです!早く涼しくならん かな〜 涼しくなって早く船長の故郷天草へ タイ釣りに行きたいです。今日は暑い中、片山様 松山様お疲れ様でした。 ヒラメ・・・55cm{1,5kg}頭に3匹 ハクラ・・・2匹 |
片山様![]() 2006年 8月25日 |
今日のお客様 松山様と片山様です。![]() 2006年 8月25日 |
釣果![]() 2006年 8月23日 大潮 |
いつものポイントが最近ムラがあるので 今日は新ポイントへ直行した。今日は 上げ潮に期待してのヒラメ釣りだったが パッとしない・・・そして潮とまり・・・困った! 結局、下げ潮でいつものポイント直行〜 そしたら今日はヒラメがいるではないか! 最初からいつものポイント行ってたら二桁 は釣れてたかも・・・海はわからんもんだ・・・ ヒラメ・・・49cm頭に6匹 スズキ・・・65cm頭に3匹 ハクラ・・・2匹 セイゴ・・・3匹 アラカブ・・・30cm頭に3匹 マゴチ・・・1匹 |
牧野様![]() 2006年 8月23日 |
有村様![]() 2006年 8月23日 |
釣果![]() 2006年 8月21日 中潮 |
今日はヒラメ1匹だけです・・・ 良い潮流れてたんですが・・・ 本当にムラが多すぎます。釣れる日と 釣れない日の差がひどい!! 皆さん今日はお疲れ様でした。 ヒラメ・・・35cm 1匹 スズキ・・・67cm、3kg 1匹 ハクラ・・・1匹 セイゴ・・・1匹 |
野口様![]() 2006年 8月21日 |
ヒラメを釣って奥さんにヒラメのエンガワを 食べさせてやりたい!との事でしたが 残念ながら、この67cm、3kgのスズキ のみでした。 |
釣果![]() 2006年 8月20日 中潮 |
今日は雨台風の影響で潮が少し濁ってま したね〜。 ひどい濁りではなかったが ステ糸の長さを急遽変更して{これが大事!} の釣りとなりました。 しかしながら、アタリが 少ない・・・ 今年は雨に振り回されてる感じ〜 今日こそはザブトンヒラメ!と期待しつつ頑張っ てはみたが今日も見れませんでした。 明日も頑張りま〜す^0^ ヒラメ・・・64cm2,5kg頭に4匹 マゴチ・・・42cm 1匹 アラカブ・・・1匹 |
松藤様![]() 2006年 8月20日 |
前回は1人でヒラメ4匹の釣果でしたが今回は これ1匹{64cm}だけでした。 でも今晩の宴会用には十分では・・・^0^ |
山本君![]() 2006年 8月20日 |
行実様![]() 2006年 8月20日 |
| 2006年 8月19日 | 台風の為に出船中止しました。 |
| 2006年 8月18日 | 台風の為に出船中止しました。 |
| 2006年 8月16日 | 中止しました。 |
釣果![]() 2006年 8月14日 中潮 |
今日は皆さん良く釣って下さいました。 全員安打です!!^0^ 本命のヒラメがチト少ないのが気になるが・・ でも皆さん大喜びして下さったので船長 嬉しいです。残念だったのが朝一発の浦田様 のバラシがきつかったですね〜 竿が海面まで 引き込まれて凄かったです。浦田様しばらく 放心状態だったみたい^0^ あまりの大きな 引きでビックリされてたみたい^0^ 昨日が釣果悪かったので今日はホッとしました。 {下に隠れてるのチヌですよ} 山下様御一行、今日はお疲れ様でした。 ヒラメ・・・56cm頭に3匹 チヌ・・・1,8kg 1匹 スズキ・・・5匹 ハクラ・・・2匹 セイゴ・・・9匹 アラカブ・・・1匹 |
山下様![]() 2006年 8月14日 |
![]() 2006年 8月14日 |
藤田様![]() 2006年 8月14日 |
浦田様![]() 2006年 8月14日 |
大塚様![]() 2006年 8月14日 またもやヒラメ釣り初挑戦のお客様ヒラメGETです! |
大塚様![]() 2006年 8月14日 |
![]() 2006年 8月14日 |
今日の日の出は綺麗か〜〜 なんか良い事がありそうな・・・? |
釣果![]() 2006年 8月13日 中潮 |
今日の潮、まあ〜早い事!本日はヒラメの 姿見る事が出来ませんでした。 今日の一番は中垣様の釣ったスズキ! 78cm、3,5kgが光りました^0^ 今年は大雨が降った後のヒラメは ちと シブイです・・・昨年の様な爆釣とはいきません。 今日も暑い中みなさんお疲れ様でした。 スズキ・・・78cm{3,5kg} 1匹 ヒラ・・・57cm頭に2匹 寂しい釣果です・・・ |
![]() 2006年 8月13日 |
![]() 2006年 8月13日 |
釣果![]() 2006年 8月12日 中潮 |
最近ヒラメの釣果にムラがあります。 釣れる日と釣れない日の差がひどい! 今日はアタリも少なく釣果はこれだけ・・・ 今日の潮だと外道にスズキが釣れても おかしくないのだが、それもない。 魚はお盆休みかな〜・・・?? そんなはずなかばい・・・ 明日は他のポイント攻めてみます。 ヒラメ・・・37cm頭に3匹 マゴチ・・・41cm 1匹 |
釣果![]() 2006年 8月9日 大潮 |
今日のお客様は前回ザブトンヒラメを海面で ラインブレイクされて今回リベンジに来られた 加藤様と辻様です。しかし、昨日とは、うって かわって今日はヒラメの活性悪かったです。 昨日はあんなに活性良かったのに・・・ 満潮前後に勝負をかけてたのに残念!! 結果、加藤様の執念の1匹だけでした。 掛け損ないも数回あったのだが何とかボウズ は免れました。 辻様は昨夜一睡もしてなかった そうで釣り開始後1時間半で爆睡状態・・・ 次回は十分に睡眠とって来て下さいね^0^ 今日はお客様の要望で早上がりしました。 おまけ・・・昨日お客様に質問されました。 {尚人丸のホームページが誰がやってるの?って! 遊漁船の船長とホームページ作成はイメージが わかないそうです^0^ 他のお客様も同じ事考えて るのかな・・・?? 発想、構成、HP管理と全て私{船長}がしてますよ。 内容見たらわかるでしょう?^0^ いかにもド素人が作った内容じゃないですか^0^ ヒラメ・・・残念ながら1匹だけ・・・ |
![]() 2006年 8月9日 辻様爆睡・・・ |
荒尾沖![]() 2006年 8月9日 あ〜針掛かりせんやった〜〜 |
釣果![]() 2006年 8月8日 大潮 |
前回2回は潮が動かずに非常に苦労した が、今日は大潮!良い潮流れてくれました。 もちろん全員安打です^0^ ホッとしました。 掛け損ない、バラシもあったが釣果はごらん のとおり! 今日の匿名希望のお客様2人は 初めての尚人丸乗船です。 なんとヒラメ釣り 初挑戦!・・・と言うか海釣り初挑戦でした。 又、尚人丸のジンクスで初挑戦のお客様は 不思議とヒラメを確実に釣って帰ります。 今度は顔を写せる状態で来て下さいね^0^ 又の乗船お待ちしております。 今日はお疲れ様でした。 {船中} ヒラメ・・・62cm{2,5kg}頭に 7匹 |
![]() 2006年 8月8日 |
今日のお客様、荒尾の片山様と 匿名希望のお二人です。 {今日は平日なもんで・・・?} でも顔は写ってないが、きっと 笑っていると思います^0^ ピース!! |
片山様![]() 2006年 8月8日 |
![]() 2006年 8月8日 |
釣果![]() 2006年 8月6日 中潮 |
今日もヒラメ釣りとキス釣りを両方したいとの 依頼で出船しました。 ヒラメ釣りは前半の 3時間やって後半は沖あがりまでキス釣りと なりました。 しかし、今日も潮がまったく 動かない・・・困ったもんだ!! 3時間で釣果はこれだけです。キスは皆さん クーラーに入れられたので写真はありません。 最近、潮が動かない為にヒラメ不調です。 三池港を出船して、すぐ後ろからず〜っと つけてきたボートいましたね・・・なんと ポイント着まで。 ここでは誰とは言いませんが・・・ ヒラメ・・・41cm 1匹 チヌ・・・49cm 1匹 45cm 1匹 ハモ・・・90cm 1匹 キス・・・クーラーの中 |
力丸様![]() 2006年 8月6日 |
![]() 2006年 8月6日 真夏の日差し!キス釣り賑わってますね〜 |
三砂様![]() 2006年 8月6日 |
島津様![]() 2006年 8月6日 |
島津様![]() 2006年 8月6日 |
瓜生様![]() 2006年 8月6日 |
釣果![]() 2006年 8月5日 中潮 |
今日はチャーター出船でヒラメ釣りと キス釣りの両方狙いでした。 が、しかし潮が呆れるほど動きません! 朝方ちょっとだけ動いただけです・・・ 結果ヒラメはこれだけです。 後半は キス釣りしましたが、潮が思うように 動かずに、入れ食いとはいかないが コンスタントに釣れ続きました。 明日も頑張ります!! ヒラメ・・・40cm 1匹 キス・・・皆さんのクーラーの中 その他・・・トラギス、タコ、コダイなど。 |
栗山様![]() 2006年 8月5日 |
浦川様![]() 2006年 8月5日 |
深川様![]() 2006年 8月5日 |
浦川様![]() 2006年 8月5日 |
釣果![]() 2006年 8月4日 若潮 |
今日も朝5:30分出船です。 今日のお客様二人とも爆睡!! まだ時間は8時前なのに・・・昨夜は1時間 しか寝てないそうです。 しかし、まあ〜今日はアタリが一回とバラシが 一回のみでした。悲しい結果です。沖あがり1時間前に 徳重様にアタリがありヒットさせたのですが あと少しと言う所でバレてしまいました。 船長タモ持って構えていたのですが・・・ 徳重様は非常に悔しがっておられました。 一日アタリもなく、いきなりアタリがあったら 条件反射で早合わせしますもんね〜 竿のシナリから2kg弱って所ですかね〜 掛かりが甘かったみたいです。本日はヒラメが 全然釣れなくてごめんなさい。 ヒラメ・・・ボウズ!{悲しい・・・} |
釣果![]() 2006年 8月3日 長潮 |
今日は時間をずらせて5:30出船でした。 松尾様が今日の夜に30周年のパーティーが あるから絶対に天然ヒラメが欲しいとの依頼で 出船しました。 今日は長潮!普段のポイント では釣果は厳しいからマル秘ポイントへ直行〜〜 松尾様親子で56cm{2kg}頭に5匹釣って下さいました^0^ 良かった良かった。 残念ながら沖本様は30年ぶりの 釣りらしく、アタリを取るのに苦労されてました。 上がってくるのはキズだらけのエサ・・・ 結果ボウズでした。又のチャレンジお待ちしております。 松尾様はヒラメは初めて釣ったそうです。息子さんも ヒラメ専門は初めてだそうです。お二人の笑顔を見れて 船長ホッとしましたよ。今日も暑かったが風が少しあったから 気持ち良かったばい。皆さんお疲れ様でした。今晩は ヒラメずくしですね〜^0^ ヒラメ・・・56cm{2kg}頭に 5匹 |
松尾君![]() 2006年 8月3日 |
![]() 2006年 8月3日 56cm、ジャスト2kg |
松尾様![]() 2006年 8月3日 |
松尾様親子![]() 2006年 8月3日 |
![]() 2006年 8月3日 今日の水温 |
今日のお客様です。 松尾様、沖本様、松尾君![]() 2006年 8月3日 |
釣果![]() 2006年 8月2日 小潮 |
今日はHP観覧からの初めてのお客様です。 今日のお客様は鳥栖から来られた一瀬様 御一行です{4人}。 海の状態もかなり良くなり{完全ではない・・} 今日は皆さん全員ヒラメGETです!! ヒラメ釣りはした事ないんです、との事で 出船前にヒラメ釣りのコツを指導してからの 出船となりました。 今日はヒラメのアタリは 少なかったですね〜 5〜6回のバラシは あったものの、初めてにしては、これだけの 釣果は上出来です^0^ 有明海ではキス釣り 感覚でヒラメ狙えるから楽ですよね〜〜 皆さん最初は{船長〜アタリがわからないよ〜} と、苦労されてたが一匹釣ったら後は楽勝でしたね。 あ〜今日も暑かったばい。皆さんお疲れ様でした。 ヒラメ・・・53cm{1,7kg}頭に 6匹 マゴチ・・・53cm頭に 2匹 |
一瀬様![]() 2006年 8月2日 |
![]() 2006年 8月2日 |
野村様![]() 2006年 8月2日 |
一瀬様![]() 2006年 8月2日 |
![]() ![]() 7月29日 8月2日 この海の色の差!! 2006年 8月2日 |
武次様![]() 2006年 8月2日 |
釣果![]() 2006年 8月1日 小潮 |
今日のお客様は匿名希望との事で 顔、お名前は無しです。 キス釣りとヒラメ釣り両方希望との事で 前半にキス釣りして後半ヒラメ釣りしました。 日に日に海の色も戻ってきた感じですね〜 場所次第では、まだ濁ってる所もありますけど。 今日は潮流れが良く濁りが少ない場所を 選んでの釣りとなった。 皆さんにアタリは あるのだが食い込ませるタイミングに戸惑われて 苦労されてたみたいです。今日のお客様は 皆さんヒラメ釣り初挑戦との事でした。 代表のお客様は潮とまり前に大ヒラメを掛けた のですが残念ながら途中でバレてしまいました。 良い竿のしなりしてましたよ^0^ 非常に残念がっておられました。 5日前に4,8kgのヒラメを見た以来大型の ヒラメ見てません・・・ 4日前には水面まで上げた ザブトンヒラメのバラシなどもあり、そろそろ大ヒラメを お客様上げて下さい!! 今日も一日暑い中、お疲れ様でした。 ヒラメ・・・41cm頭に 5匹 キス・・・クーラーの中 その他・・・アラカブ、マダコなど。 |
今日も晴天ベタ凪〜 ![]() 2006年 8月1日 夜が明けてきたぞ〜 |
匿名希望様![]() 2006年 8月1日 |