
![]()
釣果![]() 2012年 10月31日 大潮 |
今日も平日少人数で近場真鯛です。 お客様は匿名希望、S様、K様、E様の3名です。 今日こそは大鯛〜 と思いきや・・・ またまた小型の真鯛ばかりです。 一番良いサイズで昨日と同じく600g・・・ 数は左のとおりですが、大型いません。 お客様3名なのに何故2カゴしか魚入ってない? 残念ながらお1人ボウズでした・・・ せっかく来て頂いたのに申し訳ないです。 今日も釣果に差が出てしまいました。 大型が釣れなかったので写真撮らせてもらうの 言い辛かったのだが、{お客様は写真撮っていいよ} との事で今日は写真撮らせてもらいました。 今日乗船の皆さんありがとうございました。 明日も出船予定でしたが、どうも予報が悪く 風が出そうです。かなり強く吹きそうです・・・ 明日は安全の為お休みします。 テレビでも言ってましたが、週末は行楽日和と 言ってました^^ 明日と明後日はお休みして 土曜から又頑張ります! 潮周りが良いので楽しみです^^ |
出航〜![]() 2012年 10月31日 |
![]() 2012年 10月31日 初乗船のE様からスーパードライいただきました。 ありがとうございました。 やっぱり寒くなってもビール美味いです! |
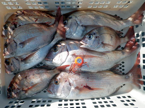
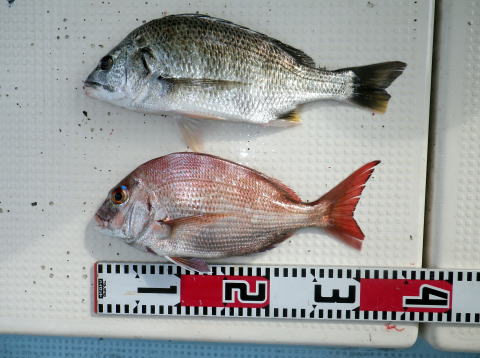
釣果![]() 2012年 10月30日 大潮 |
前回に{二日前}に引き続き今日も大潮! 大物狙いです! 平日少人数で近場真鯛です。 しか〜し・・・ 今日は大型真鯛1匹もいません・・・ 釣った真鯛はすべて小型ばかりでした。 コショウダイも小型・・・ フグも小型・・・ シログチも小型・・・ 真鯛の一番大きいので600g{左の写真} キビレ一番大きいので600g{左の写真} 小型真鯛ばかりで全体写真は気の毒して 写しきらんやったです・・・ 次回大鯛釣られた時は是非写真撮らせて下さいネ。 今日はお疲れ様でした。 明日も少人数{2名}で出船予定してます。 頑張ります! |
湖みたいな有明海![]() 2012年 10月30日 |
![]() 2012年 10月30日 深浦様から天然カキいただきました。 ありがとうございます。 |
釣果 伊藤様{真鯛2,4kgGET}![]() 2012年 10月28日 大潮 |
朝方5時前は雨風で心配しましたが予報を信じて お客様方出船30分前に港に集合。すると雨も風も ピタッと嘘のようにやみました・・・ 良かった〜 9時位までは少し雨かな〜と思いましたが ポイント着く前には少し青空も見えてきました。 これで条件は揃った〜 ハイどうぞ〜 今日は鯛ラバとテンヤで皆さん真鯛釣りです。 昨日より若干食いは良くなかったが まあまあの釣果かな?? キロクラスは昨日より少なかったですね。 でも2,4kgの真鯛が上がりました。 釣られたのは地元大牟田、常連の伊藤様です。 おめでとうございます^^ 釣果は2,4kgの真鯛が1匹。 キロオーバーは7匹と少なかったです・・・ キロ以下の真鯛は28匹でした。 全体で真鯛36匹です。 皆さん今日はありがとうございました。 明日は真鯛のご予約ないので シーバスキャスティングで出船です。 現在1名です。 どなたか参加しませんか? 6時過ぎに出船して10時半位に帰ります。 |
| ご無沙汰の地元のお客様 田島様の釣果{キロオーバーは3匹} ![]() 2012年 10月28日 |
全体釣果![]() 2012年 10月28日 |
山下様が今日使用した鯛ラバです{右が釣果}![]() 2012年 10月28日 |
山下様が鯛ラバで釣られた真鯛です{キロオーバーは3匹}![]() 2012年 10月28日 |
ポイント到着〜![]() 2012年 10月28日 |
尚人丸初乗船の山下様 鯛ラバにてキロオーバー真鯛GET! ![]() 2012年 10月28日 |
釣果![]() 2012年 10月27日 中潮 |
今日は土曜日ですが天気予報が雨のせいか 少人数{3名}で出船しました。 お客様は山田様、古賀様、牛島様です。 結局たいした雨も降らず超〜ベタ凪です。 去年と違い今年の下げ潮はちょっと変?? でも今日は下げ潮オンリーです。 潮を信じて今日も挑戦です! あちこちポイントをまわって群れを発見! 一気に数を増やしました^^ 全体で真鯛32匹ですが、 1kg〜1,5kgが14匹です。 リリースサイズも今日は3匹だけでした。 もちろんリリースしていただきました^^ こんなに釣れて何か昨日のお客様に申し訳ないです・・・ 3名様とも大納得の釣果でした。 凄く喜んでおられて船長も嬉しかったです。 今日ははビールが美味いです^^ お疲れ様でした〜 明日も頑張ります。 |
| 今日のお客様{3名} 山田様、古賀様、牛島様 ![]() 2012年 10月27日 |
牛島様の針・・・ ヒットしましたが残念ながら針が折れてしまいました・・・ 姿見たかったです・・・ ![]() 2012年 10月27日 |
牛島様![]() 2012年 10月27日 |
牛島様〜今日はご無沙汰です^^ いっぱい有明海の釣りを楽しんで下さいね。 幻想的な海ですね・・・ 後半に針が折れるほどの大物が来るとか この時は想像もしませんでした・・・ |
釣果![]() 2012年 10月26日 中潮 |
一昨日に続き今日も平日出船。 二日前はあんなに釣れたのに・・・ 今日の潮は抜群に良いのに・・・ 自然は分らないもんです・・・ 左の釣果〜 カゴが四個で四人分。 今日は二桁釣った方誰もおられません。 今日は自信あって出船したのですが・・・ 相変わらずスッポ抜けは多かったです。 キロ前後がバタバタ食った時がありましたが 時合いタイムは短時間でした・・・ あれが長く続いていたなら爆釣だったのにな〜 外道にヒラメや特大アラカブなど釣れました。 お客様は遠慮して質問などしない方多いです。 分らない事など何でも聞いて下さいね^^ 分らない事も、聞いてわかってしまうと 釣果がグッと変わってきますよ^^ 皆さん今日はお疲れ様でした。 明日は気分を変えて頑張ります! 明日は土曜日ですが3名で出船予定です。 釣れますように! |
![]() |
小さい時から飲んでた大牟田のオームリンゴ {通称リンゴ牛乳}が無くなるとの事・・・ 寂しいです・・・ スーパーに行って買ってきました。 やっぱり美味いです! 今の内に沢山飲んでおこう〜 |
釣果![]() 2012年 10月24日 長潮 |
強風が二日続き今日は超〜ベタ凪でした。 今日は平日出船です。 尚人丸初乗船及び真鯛釣り初挑戦のお客様 折様も乗船です。 今日は長潮! 上げ潮、下げ潮両方あります。 初心者の方の為にいつもの様にミニ講習して 出船〜 ポイント到着! さあ〜頑張って下さい。 まずは下げ潮・・・良く釣れます^^ 潮とまり・・・1匹しか釣れません。 今度は上げ潮・・・又釣れだしました^^ 結果はご覧の通り! 50匹まであと一歩・・・48匹です。 リリースサイズまで入れれば60匹以上釣れましたが 海にお帰りいただきました。 リリースにご協力ありがとうございます。 これだけ釣れると気分が良いですね^^ 皆さん今日はありがとうございました。 次回は26日{金曜}に出船予定してます。 中潮の初日です! 何かがおこりそうな・・・?? 船長が大好きな潮です^^ 現在空席多数あります。 天気も良さそうです。 お時間ある方、挑戦してみませんか? |
| 初乗船の折様 カゴの中は真鯛二桁オーバーです ![]() 2012年 10月24日 |
平日なので匿名希望様方 久々のご乗船でした^^ でも相変わらず釣られますね〜 ![]() 2012年 10月24日 |
朝日〜![]() 2012年 10月24日 |
![]() 2012年 10月24日 初乗船の折様から純米焼酎しろ頂きました。 ありがとうございました。 早速今夜飲ませて頂きます。 |
| 2012年 10月22日 | 予報{強風}が悪く中止しました。 最大で風速11m吹いてました・・・ 風向きが悪い! |
釣果![]() 2012年 10月21日 小潮 |
今日はチャーター{5名}で真鯛出船でした。 竿4本と手釣り道具1セットをレンタル依頼です。 エサの付け方、棚の取り方、ハリスと針の接続 方法などミニ講習完了後、出船〜 前半は数が思う様に伸びませんでしたが後半は 慣れてこられて、これだけ釣れました^^ 良かった〜 船長ホッとしました・・・ 真鯛は30匹オーバーでしたがお客様が多かったら 今日の内容だと60匹オーバーいってたかも・・・ 今回は少し遊びでメバルのポイントを攻めてみた所 投入した途端、良型メバルが食ってきました! やはりいますね・・・ でもあと一ヶ月辛抱です・・・ それまで真鯛で頑張ります! 今日の5名様の内、2名様は写真NGとの事で 今回は写真はなしです。 今日までは凪でしたが、明日からは・・・ 24日の水曜は又、凪の予感! そして、上げ潮と下げ潮が両方あります。 まだご予約はありません。 初心者の方でも 非常に釣りやすい潮ですよ。 一つテンヤなんかは楽しめる潮周りです。 興味がある方お待ちしております。 今日乗船の皆さんありがとうございました。 |
尚人丸初乗船の前田様![]() 2012年 10月21日 |
尚人丸初乗船の中尾様 真鯛釣り今日が初めてだそうですが上手ですよ^^ ![]() 2012年 10月21日 |
尚人丸初乗船の井上様![]() 2012年 10月21日 |
3人で ハイ!パチリ 皆さん笑顔がステキです^^ ![]() 2012年 10月21日 |
釣果![]() 2012年 10月20日 中潮 |
今日は予報通りベタ凪で超〜釣りやすかったです。 一年ぶりの佐藤様御一行、ご無沙汰です^^ 相変わらずお元気そうで良かったです。 相変わらずアタリはあるがスッポ抜けが多いですね・・・ ブリ上げての空中リリースもしばしば・・・ 今回は上げ潮、下げ潮と両方とも釣れましたね〜 大型はいませんが食べ頃サイズばかりでした。 800g頭で38匹です。 今日は外道のシログチが1匹もいません・・・ こんな事もあるんだな〜 天気も良く、風もなく超〜ベタ凪で気持ち良かったです。 皆さん今日はお疲れ様でした。 明日は5名{チャーター}で出船予定です。 明日も頑張ります! |
| 佐藤様御一行 ハイ、ポーズ! 表情が分らない?? じゃ〜→ ![]() 2012年 10月20日 |
ハイ! ドアップ〜 皆さんさわやか笑顔^^ ![]() 2012年 10月20日 |
日の出〜 今日釣れます様に〜![]() 2012年 10月20日 |
予報通りベタ凪です ![]() 2012年 10月20日 |
釣果![]() 2012年 10月16日 大潮 |
今日は平日出船でした。 お客様はミスターO様、増田様、川本様の3名です。 3名様とも1年半ぶりのご乗船です。 ご無沙汰です^^ 真鯛釣りでしたが五目となってしまいましたね。 キビレチヌは最大で1,6kgでした。 本命の真鯛は今日は大型見れませんでした。 大潮周りは色んな魚がきますね〜 美味しい魚ばかりです!今晩楽しみですね〜 お疲れ様でした。 |
日の出〜![]() 2012年 10月16日 |
増田様と川本様 1,6kgと1.5kg ![]() 2012年 10月16日 |
釣果![]() 2012年 10月14日 大潮 |
グループのキャンセルが出ましたが予定通り出船 しました。 今日も潮早いです! 昨日に引き続き大鯛狙い! 昨日は1,3kg、今日はジャスト3,0kg。 徐々に大型サイズが見えてきた感じです。 しかしながら相変わらずの良型の針はずれはあります。 キロクラスは2匹でした 真鯛だけで22匹でした。{他の真鯛2匹はクーラーの中} 外道も各自クーラーの中です。 今日も全員安打で頑張ってくれました。 今日乗船の皆さんありがとうございました。 又のご乗船お待ちしております。 明日は真鯛のご予約がないので シーバスキャスティング行ってきま〜す。 |
| テイク1 写真撮りま〜す 笑いすぎ・・・^^ 箸が転んでもオカシイ年頃・・・??撮り直し〜 ![]() 2012年 10月14日 |
テイク2 ハイピース! 笑顔がステキです^^バッチリ撮れました! 今晩は真鯛尽くしですね〜 刺身〜煮付け〜塩焼き〜 ![]() 2012年 10月14日 |
![]() 2012年 10月14日 |
尚人丸初乗船の女性釣り師,野田様 またまた釣れました〜 ![]() |
釣果![]() 2012年 10月13日 中潮 |
今日は朝一から,いきなり1,3kgの真鯛が釣れて 船上大賑わいでしたが後が伸びません・・・ 今回も真鯛がヒットして10mほど上げた所で 真鯛の強烈な引きこみと同時に針のスッポ抜け・・・ 最近はこのパターンが多いです。{食いが浅いです} 結果1,3kgの真鯛までしか見れませんでした。 ボウズの方はおられませんが全体的に数が 伸びませんでした。 今年の攻略法を考えなくてはいけないですね〜 今日は課題が残る一日でした。 皆さんお疲れ様でした。 明日も頑張ります! |
![]() 2012年 10月13日 |
江上様から沖縄糸満の首里城正殿いただきました。 ありがとうございました。 泡盛〜 |
秋晴れ〜![]() 2012年 10月13日 |
山田様 朝一投目から1,3kg真鯛GET!お見事です! ![]() 2012年 10月13日 |
釣果![]() 2012年 10月10日 長潮 |
今月初の平日出船です。 常連様とテンヤ初挑戦のお客様で近場真鯛出船 しました。 朝の下げ潮で今日はかなり釣れるんでは と・・・思い超〜期待して出船したのですが今年は 去年みたいにはいきませんでした。 サイズも800gが頭です。 大型はいません。 小川様が2kgクラスの真鯛をヒットさせたのですが 残念ながらバラシ・・・ 本人悔しがっておられました。 ボウズの方はさすがにおられませんが、もう少し 数が欲しかったですね。 今日は40〜50匹位は 釣れるかな〜と予定を立ててたのですが・・・ 思うように数が伸びませんでした。 皆さん今日はありがとうございました。 真鯛釣り、2名から出船しますので、お1人でも まずはお電話下さい。 早めにお1人でもご予約頂ければ予定日に2名に達する 確立大になりますよ。 |
![]() 2012年 10月10日 |
久々の凪です・・・ |
| 2012年 10月8日 | 強風予報の為に前日に出船中止しました。 でも、予報みたいな風ではなかったです・・・ 出れたですね〜 当日港で判断しとけば良かったですね〜 |
釣果![]() 2012年 10月7日 小潮 |
暫くお休み頂きましてご迷惑おかけしました。 心配してお客様からお電話もいただきました。 病気でもしたの??と・・・ いえいえ^^ 体はすこぶる元気ですよ。 一部を除いてピンピンしてます! さて、久々の近場真鯛で出船しました。 常連様と初乗船のお客様で出船です。 もちろん今回もテンヤと鯛ラバです。 出船時は凪でしたがポイント到着と同時に 強風です・・・ 気持ちよい強風がそよそよ・・・ 揺れながらの釣り、釣りにくかったと思います。 ボウズはないですが釣果にも差が出てしまいました。 今日の棚は微妙〜〜 後に潮も止まり、風も強くなるばかり・・・ アタリもなく沈黙・・・ 今日は30分早く沖あがりしました。 皆さん今日は揺れの中お疲れ様でした。 明日は今日より風が強くなりそうな予報・・・ 安全の為にお休みします。 次回は平日10日{水曜}に出船予定してます。 現在ガラ空きです。 |
| 穴井様クーラー 真鯛13匹、アコウ1匹、アラカブ1匹、その他下ににグチなど ![]() 2012年 10月7日 |
![]() 2012年 10月7日 全日本国際酒類コンクール 芋焼酎部門第一位受賞 {心ゆくまで} 穴井様から本格いも焼酎頂きました。 ありがとうございます。 ロックが美味しいとの事です |